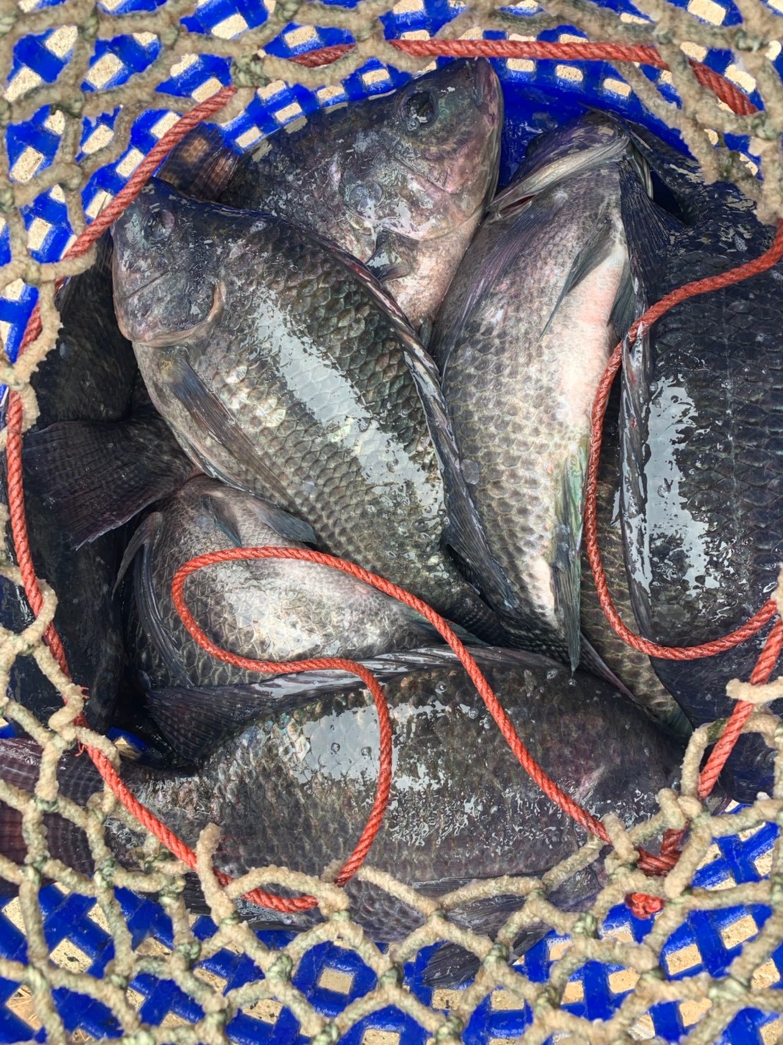
ประมงอำเภอเขื่องใน จัดหาสถานที่จำหน่ายปลานิลกระชัง ที่ได้รับผลกระทบจากการแพร่ระบาดเชื้อไวรัส โควิด 19  ณ ศาลากลางบ้าน นาโพธิ์ ต.ต้อทอง อ.เขื่องใน


[2025-11-17] ประมงอำเภอศรีเมืองใหม่ ลงพื้นที่เยี่ยมเยียนและเตรียมความพร้อมเกษตรกรเพ.. [2025-11-17] ประมงอำเภอศรีเมืองใหม่ ลงพื้นที่พบปะและเยี่ยมเยียนเตรียมความพร้อมเกษตร.. [2025-11-17] ประมงอุบลฯ ร่วมสวดพระอภิธรรมพระบรมศพ สมเด็จพระนางเจ้าสิริกิติ์ พระบรมร.. [2025-11-17] ประมงอำเภอพิบูลมังสาหาร รับสมัครเกษตรกรผู้เพาะเลี้ยงสัตว์น้ำในกระชัง เ.. [2025-11-17] ประมงอุบลฯ ร่วมลงพื้นที่งานจัดระบบอนุรักษ์ดินและน้ำในพื้นที่เขตพัฒนาที.. [2025-11-17] ประมงอำเภอเขื่องใน ให้ความช่วยเหลือเกษตรกรผู้ประสบภัยพิบัติ ปี 2568.. [2025-11-14] ประมงอำเภอสิรินธร ร่วมมอบผ้าห่มกันหนาวจาก โครงการไทยเบฟร่วมใจต้านภัยหน.. [2025-11-14] ประมงอำเภอวารินชำราบ รับงานการจับผลผลิตสัตว์น้ำในแม่น้ำมูล.. [2025-11-14] ประมงอุบลฯ ร่วมพิธีถวายราชสักการะ “วันพระบิดาแห่งฝนหลวง” ประจำปี 2568.. [2025-11-14] ประมงอำเภอเขื่องใน รับผิดชอบงานด้านประมงอำเภอเมืองอุบลราชธานี ให้ความช.. อ่านทั้งหมด 

ประมงอำเภอเขื่องใน จัดหาสถานที่จำหน่ายปลานิลกระชัง ที่ได้รับผลกระทบจากการแพร่ระบาดเชื้อไวรัส โควิด 19  ณ ศาลากลางบ้าน นาโพธิ์ ต.ต้อทอง อ.เขื่องใน  

 บริการประชาชน  เพาะเลี้ยง / ส่งเสริมเกษตรกร

ส่ง email แชร์ X ส่ง Line แชร์ Facebook
ฟังเสียงบรรยาย
ฟังเสียงบรรยาย

สำนักงานประมงอำเภอเขื่องใน ร่วมกับสำนักงานประมงจังหวัดอุบลราชธานี จัดหาสถานที่จำหน่ายปลานิลกระชัง ที่ได้รับผลกระทบจากการแพร่ระบาดเชื้อไวรัส โควิด 19 ในวันที่ 26 เมษายน 2564 เวลา 10.00 น.  จำนวน 200 กิโลกรัม นำโดย นายวิทยา โกษาผล ประมงอำเภอเขื่องใน ณ ศาลากลางบ้าน นาโพธิ์ ต.ต้อทอง อ.เขื่องใน และวันที่ 27 เม.ย. 64 เวลา 13.00 น. จำนวน 300 กิโลกรัม ณ ศาลาประชาคม บ้านศรีบัว ต.สร้างถ่อ อ.เขื่องใน จ.อุบลราชธานี  ใช้เวลาเพียง 1.5 ชั่วโมง ก็สามารถจำหน่ายปลานิลสดหมด 


คุยกับน้องมัจฉา Add Friends คุยกับน้องมัจฉา