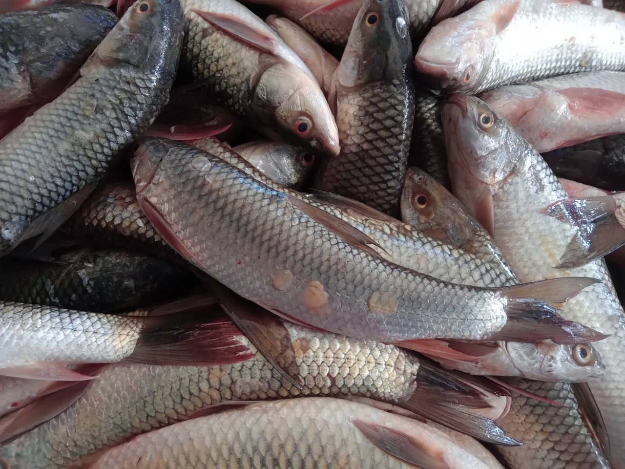
ตรวจสินค้าประมงที่นำเข้า ส่งออก ทางจุดผ่านแดนถาวรบ้านคลองลึก

 ศูนย์บริหารจัดการด่านตรวจประมงเขต 4 (สระแก้ว)


ตรวจสินค้าประมงที่นำเข้า ส่งออก ทางจุดผ่านแดนถาวรบ้านคลองลึก 

ข่าวกิจกรรม

ส่ง email แชร์ X ส่ง Line แชร์ Facebook
ฟังเสียงบรรยาย
ฟังเสียงบรรยาย

ตรวจสินค้าประมงที่นำเข้า ส่งออก ทางจุดผ่านแดนถาวรบ้านคลองลึก..คลิก

     วันที่ 19 สิงหาคม 2565 เจ้าหน้าที่ศูนย์บริหารจัดการด่านตรวจประมงเขต 4 (สระแก้ว) ตรวจสินค้าสัตว์น้ำที่นำเข้า ได้แก่ ปลาช่อน ปลาหลด ปลาชะโอน และหอยโข่งน้ำจืด เป็นต้น ตรวจสินค้าสัตว์น้ำที่ส่งออก ได้แก่ ปลานิล ปลาสวาย ปลานวลจันทร์เทศ หอยแครง หมึกกล้วย และกุ้งขาว เป็นต้น ทางจุดผ่านแดนถาวรบ้านคลองลึก อำเภออรัญประเทศ พร้อมตรวจสอบเฝ้าระวังรถสินค้าอื่นๆ เพื่อป้องกันการลักลอบนำเข้า-ส่งออกสินค้าประมงที่ผิดกฎหมาย ผลการตรวจสอบสินค้าประมงที่นำเข้า-ส่งออกทั้งหมดมีการขออนุญาตอย่างถูกต้อง และไม่พบการทำผิดในการลักลอบนำเข้าส่งออกสินค้าสัตว์น้ำที่ผิดกฎหมาย

 Tags

  •   Hits
  • ประกาศ รับสมัครพนักงานราชการ ตำแหน่งนักวิชาการประมง สังกัดศูนย์บริหารจัดการด่านตรวจประมงเขต 4 (สระแก้ว) ตั้งแต่วันที่ 8 - 16 กันยายน 2568 ประกาศ รับสมัครพนักงานราชการ ตำแหน่งนักวิชาการประมง สังกัดศูนย์บริหารจัดการด่านต... จำนวนผู้อ่าน 285  ประกาศรายชื่อผู้มีสิทธเข้ารับการประเมินความรู้ความสามารถ ทักษะ และสมรรถนะ และกำหนดวัน เวลา สถานที่ในการประเมินสมรรถนะ ตำแหน่ง นักวิชาการประมง ประกาศรายชื่อผู้มีสิทธเข้ารับการประเมินความรู้ความสามารถ ทักษะ และสมรรถนะ และกำห... จำนวนผู้อ่าน 246 ปล่อยพันธุ์สัตว์น้ำเฉลิมพระเกียรติ เนื่องในโอกาสวันเฉลิมพระชนมพรรษา พระบาทสมเด็จพระปรเมนทรรามาธิบดีศรีสินทรมหาวชิราลงกรณ พระวชิรเกล้าเจ้าอยู่หัว ปล่อยพันธุ์สัตว์น้ำเฉลิมพระเกียรติ เนื่องในโอกาสวันเฉลิมพระชนมพรรษา พระบาทสมเด็จ... จำนวนผู้อ่าน 93  ตรวจบูรณาการ ทางจุดผ่านแดนตาพระยา  ตรวจบูรณาการ ทางจุดผ่านแดนตาพระยา  จำนวนผู้อ่าน 88 เข้าร่วมโครงการปล่อยพันธ์สัตว์น้ำ เนื่องในวันเฉลิมพระชนมพรรษา สมเด็จพระนางเจ้าสิริกิติ์ พระบรมราชินี่นาถ พระบรมราชชนนีพันปีหลวง เข้าร่วมโครงการปล่อยพันธ์สัตว์น้ำ เนื่องในวันเฉลิมพระชนมพรรษา สมเด็จพระนางเจ้าสิ... จำนวนผู้อ่าน 86 ตรวจสินค้าประมงที่นำเข้า ส่งออก ทางจุดผ่านแดนถาวรบ้านหนองเอี่ยน ตรวจสินค้าประมงที่นำเข้า ส่งออก ทางจุดผ่านแดนถาวรบ้านหนองเอี่ยน  จำนวนผู้อ่าน 79  ตรวจบูรณาการ ทางจุดผ่านแดนถาวรบ้านคลองลึก  ตรวจบูรณาการ ทางจุดผ่านแดนถาวรบ้านคลองลึก  จำนวนผู้อ่าน 77 ประชุมเจ้าหน้าที่ศูนย์บริหารจัดการด่านตรวจประมงเขต 4 (สะแก้ว) ประชุมเจ้าหน้าที่ศูนย์บริหารจัดการด่านตรวจประมงเขต 4 (สะแก้ว)  จำนวนผู้อ่าน 66 ขอเชิญร่วมลงนามถวายพระพรชัยมงคลในสมุดลงนามถวายพระพรชัยมงคลอิเล็กทรอนิกส์ (ตลอดเดือนพฤษภาคม 2568) ขอเชิญร่วมลงนามถวายพระพรชัยมงคลในสมุดลงนามถวายพระพรชัยมงคลอิเล็กทรอนิกส์ (ตลอดเด... จำนวนผู้อ่าน 65 ปล่อยพันธุ์สัตว์น้ำ เนื่องในวันประมงแห่งชาติ ประจำปี 2568 ปล่อยพันธุ์สัตว์น้ำ เนื่องในวันประมงแห่งชาติ ประจำปี 2568  จำนวนผู้อ่าน 61 การตรวจตู้คอนเทนเนอร์ปลายทาง สินค้าน้ำเข้า การตรวจตู้คอนเทนเนอร์ปลายทาง สินค้าน้ำเข้า  จำนวนผู้อ่าน 55 ตรวจเยี่ยมให้กำลังใจในการปฏิบัติหน้าที่ และร่วมทำบุญสำนักงานด่านตรวจประมงจันทบุรีเนื่องในวันสงกรานต์  ตรวจเยี่ยมให้กำลังใจในการปฏิบัติหน้าที่ และร่วมทำบุญสำนักงานด่านตรวจประมงจันทบุร... จำนวนผู้อ่าน 54  ตรวจบูรณาการ ทางจุดผ่านแดนถาวรบ้านหนองเอี่ยน  ตรวจบูรณาการ ทางจุดผ่านแดนถาวรบ้านหนองเอี่ยน  จำนวนผู้อ่าน 51  ตรวจบูรณาการ ทางจุดผ่านแดนถาวรบ้านเขาดิน  ตรวจบูรณาการ ทางจุดผ่านแดนถาวรบ้านเขาดิน  จำนวนผู้อ่าน 47 ประชาสัมพันธ์สื่ออินโฟกราฟิกส์การส่งเสริมคุณธรรมจริยธรรม ประชาสัมพันธ์สื่ออินโฟกราฟิกส์การส่งเสริมคุณธรรมจริยธรรม  จำนวนผู้อ่าน 45


    สงวนลิขสิทธิ์ พ.ศ.2568 ศูนย์บริหารจัดการด่านตรวจประมงเขต 4 (สระแก้ว)

    รายละเอียด 547 หมู่ 2 ตำบลบ้านใหม่หนองไทร อำเภออรัญประเทศ จังหวัดสระแก้ว 27120  email  aranfishtrade@gmail.com  โทรศัพท์ 037231074  FAX 037231146  แฟนเพจ แฟนเพจ
    CreativeCommons Valid CSS! Explanation of WCAG 2.1 Level Triple-AA Conformance SSL Labs ipv6