นายวิทยา ประเสริฐสังข์ ประมงอำเถอโนนสัง ร่วมกิจกรรมจับปลาเพื่อการกุศล ณ "หนองเม็ก"

 สำนักงานประมงจังหวัดหนองบัวลำภู


นายวิทยา ประเสริฐสังข์ ประมงอำเถอโนนสัง ร่วมกิจกรรมจับปลาเพื่อการกุศล ณ "หนองเม็ก" 


ส่ง email แชร์ X ส่ง Line แชร์ Facebook
ฟังเสียงบรรยาย
ฟังเสียงบรรยาย

นายวิทยา ประเสริฐสังข์ ประมงอำเถอโนนสัง ร่วมกิจกรรมจับปลาเพื่อการกุศล ณ

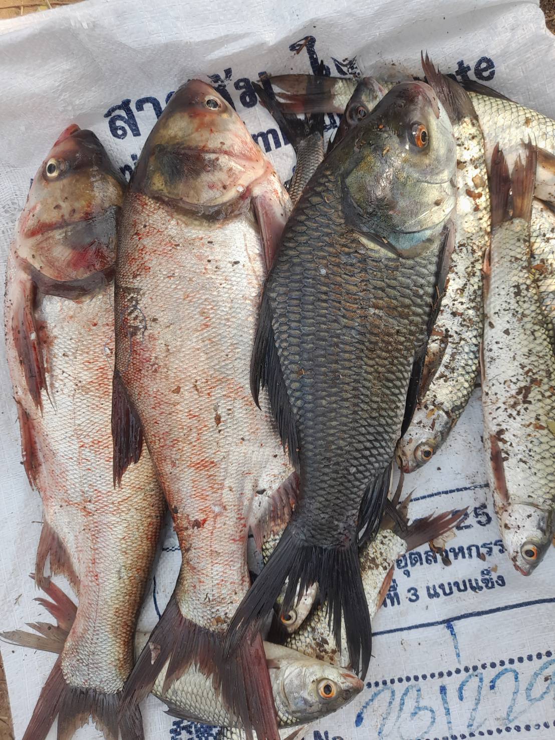
วันที่ 18 กุมภาพันธ์ พ.ศ.2567 นายวิทยา ประเสริฐสังข์ ประมงอำเถอโนนสัง ร่วมกิจกรรมจับปลาเพื่อการกุศล ณ "หนองเม็ก" เนื้อที่ 16 ไร่ ซึ่งเข้าร่วมโครงการธนาคารสัตว์น้ำ ปีงบประมาณ พ.ศ.2567 บ้านหนองเม็ก ต.กุดดู่ อ.โนนสัง จังหวัดหนองบัวลำภู โดยมี พ.อ.อ.กิตติพงษ์ ยอดไชยเพ็ชร นายอำเภอโนนสัง เป็นประธานพิธี

 Tags

  •   Hits
  • ประกาศสำนักงานประมงจังหวัดหนองบัวลำภู เรื่อง รายชื่อผู้มีสิทธิ์เข้ารับการประเมินสมรรถนะ ครั้งที่ 2 (สอบสัมภาษณ์) เพื่อเข้ารับการเลือกสรรเป็นพนักงานราชการทั่วไป ตำแหน่งเจ้าหน้าที่วิเคราะห์นโยบายและแผน  ประกาศสำนักงานประมงจังหวัดหนองบัวลำภู เรื่อง รายชื่อผู้มีสิทธิ์เข้ารับการประเมิน... จำนวนผู้อ่าน 293  บัญชีสรุปผู้ผ่านการเลือกสรรเพื่อจัดจ้างเป็นพนักงานราชการทั่วไปในสังกัดกรมประมง (แยกรายจังหวัด) ข้อมูล ณ 9 เมษายน 2568 บัญชีสรุปผู้ผ่านการเลือกสรรเพื่อจัดจ้างเป็นพนักงานราชการทั่วไปในสังกัดกรมประมง (... จำนวนผู้อ่าน 129 ประชาสัมพันธ์ประกาศกรมประมง เรื่อง กำหนดพื้นที่และระยะเวลาฤดูสัตว์น้ำจืดมีไข่ หรือวางไข่ เลี้ยงตัวอ่อน และกำหนดเครื่องมือ วิธีการทำการประมง และเงือนไขในการทำการประมง พ.ศ. 2568   ประชาสัมพันธ์ประกาศกรมประมง เรื่อง กำหนดพื้นที่และระยะเวลาฤดูสัตว์น้ำจืดมีไข่ หร... จำนวนผู้อ่าน 125 วันศุกร์ที่ 2 พฤษภาคม 2568  เวลา 09.30 น. นายเทียรชัย ซินโซ ประมงอำเภอเมืองหนองบัวลำภู นายไพสาร ศรีคูณ นักวิชาการประมง กลุ่มพัฒนาและส่งเสริมอาชีพประมง ปฏิบัติงานโครงการศูนย์เรียนรู้การเพิ่มประสิทธิภาพการผลิตสินค้าเกษตร ในการจัดทำแผนการดำเนินการจัดทำแปลงเรียนรู้ด้านการประมง และจัดทำแบบขอรับเงินอุดหนุนเพื่อจัดทำแปลงเรียนรู้ด้านประมง ของศูนย์เรียนรู้เครือข่ายประมง ประจำอำเภอเมืองหนองบัวลำภู วันศุกร์ที่ 2 พฤษภาคม 2568  เวลา 09.30 น. นายเทียรชัย ซินโซ ประมงอำเภอเมืองหนองบ... จำนวนผู้อ่าน 100 ร่วมประชุมคณะกรรมการ และคณะทำงานจัดการแข่งขันฟุตบอลนักเรียน ชิงแชมป์จังหวัดหนองบัวลำภู ประจำปี พ.ศ. 2568 ชิงถ้วยพระราชทาน สมเด็จพระกนิษฐาธิราชเจ้า กรมสมเด็จพระเทพรัตนราชสุดาฯ สยามบรมราชกุมารี เพื่อพิจารณา ร่างกำหนดการและร่างมอบหมายภารกิจ  ร่วมประชุมคณะกรรมการ และคณะทำงานจัดการแข่งขันฟุตบอลนักเรียน ชิงแชมป์จังหวัดหนองบ... จำนวนผู้อ่าน 98 ร่วมเป็นเกียรติพิธีเปิดงานแสดงและจำหน่ายสินค้าชุมชน “พาณิชย์ชวนช้อป” ร่วมเป็นเกียรติพิธีเปิดงานแสดงและจำหน่ายสินค้าชุมชน “พาณิชย์ชวนช้อป”  จำนวนผู้อ่าน 93 ร่วมประชุมคณะอนุกรรมการนโยบายที่ดินจังหวัดหนองบัวลำภูครั้งที่ 1/2568  ร่วมประชุมคณะอนุกรรมการนโยบายที่ดินจังหวัดหนองบัวลำภูครั้งที่ 1/2568   จำนวนผู้อ่าน 89 ร่วมประชุมคณะกรรมการขับเคลื่อนงานด้านเกษตรระดับจังหวัดหนองบัวลำภู ครั้งที่ 5/2568  ร่วมประชุมคณะกรรมการขับเคลื่อนงานด้านเกษตรระดับจังหวัดหนองบัวลำภู ครั้งที่ 5/256... จำนวนผู้อ่าน 88 ร่วมกิจกรรมจิตอาสาพัฒนาศูนย์ราชการจังหวัดหนองบัวลำภู เฉลิมพระเกียรติสมเด็จพระนางเจ้าสิริกิติ์ พระบรมราชินีนาถพระบรมราชชนนีพันปีหลวง เนื่องในโอกาสวันเฉลิมพระชนมพรรษา 12 สิงหาคม 2568 ร่วมกิจกรรมจิตอาสาพัฒนาศูนย์ราชการจังหวัดหนองบัวลำภู เฉลิมพระเกียรติสมเด็จพระนาง... จำนวนผู้อ่าน 84 ดำเนินการฝึกอบรมเชิงปฏิบัติการคณะกรรมการแหล่งน้ำโครงการเพิ่มประสิทธิภาพการเกษตรมูลค่าสูง สู่นวัตกรรมชั้นสูง ดำเนินการฝึกอบรมเชิงปฏิบัติการคณะกรรมการแหล่งน้ำโครงการเพิ่มประสิทธิภาพการเกษตรม... จำนวนผู้อ่าน 84 ดำเนินการฝึกอบรมเชิงปฎิบัติการคณะกรรมการแหล่งน้ำโครงการเพิ่มประสิทธิภาพการเกษตรมูลค่าสูง สู่นวัตกรรมชั้นสูง ดำเนินการฝึกอบรมเชิงปฎิบัติการคณะกรรมการแหล่งน้ำโครงการเพิ่มประสิทธิภาพการเกษตรม... จำนวนผู้อ่าน 83 บัญชีรายชื่อผู้ผ่านการเลือกสรรฯ ตำแหน่งพนักงานผู้ช่วยประมง สังกัดศูนย์วิจัยและพัฒนาการเพาะเลี้ยงสัตว์น้ำจืดแพร่ บัญชีรายชื่อผู้ผ่านการเลือกสรรฯ ตำแหน่งพนักงานผู้ช่วยประมง สังกัดศูนย์วิจัยและพั... จำนวนผู้อ่าน 79 ประกาศรายชื่อ ข้าราชการพลเรือนที่ดี จังหวัดหนองบัวลำภู ประจำปีพุทธศักราช ๒๕๖๗ ประกาศรายชื่อ ข้าราชการพลเรือนที่ดี จังหวัดหนองบัวลำภู ประจำปีพุทธศักราช ๒๕๖๗  จำนวนผู้อ่าน 78 ข้อมูลสารสนเทศด้านการเกษตรและสหกรณ์  หน่วยงานในกระทรวงเกษตรและสหกรณ์จังหวัดหนองบัวลำภู ข้อมูลสารสนเทศด้านการเกษตรและสหกรณ์ หน่วยงานในกระทรวงเกษตรและสหกรณ์จังหวัดหนองบ... จำนวนผู้อ่าน 77  ร่วมประชุมคณะทำงานขับเคลื่อนงานด้านการเกษตรระดับอำเภอ (Single Command District : SCD) ครั้งที่ 2/2568  ร่วมประชุมคณะทำงานขับเคลื่อนงานด้านการเกษตรระดับอำเภอ (Single Command District ... จำนวนผู้อ่าน 76


    สงวนลิขสิทธิ์ พ.ศ.2568 สำนักงานประมงจังหวัดหนองบัวลำภู

    รายละเอียด เลขที่ 100 หมู่ที่ 10 บ้านหว้าทอง ตำบลหนองภัยศูนย์ อำเภอเมืองหนองบัวลำภู จังหวัดหนองบัวลำภู 39000 เลขประจำตัวผู้เสียภาษี 0-9940-00473-79-6    email  nongbuafpo@gmail.com  โทรศัพท์ 042378471  FAX 042378471  แฟนเพจ แฟนเพจ
    CreativeCommons Valid CSS! Explanation of WCAG 2.1 Level Triple-AA Conformance SSL Labs ipv6